Gametangia are Embedded
in the Dorsal Surface.

Antheridial Cavity

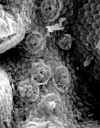
The Protrusions in the SEM photo are sites where the Antheridia
are breaking through the surface of the Thallus

Antheridium rupturing
the surface of the Thallus
Biflagellate Sperm are produced by the Antheridia.

Bifalgellate Sperm

Embedded Archegonia. You
can see the openings to the Neck Canals.
The Archegonia are unique and lack a Neck & Venter. (A minor point). |